Skip to primary navigation Skip to content Skip to footer

Scuba Diving in Culebra

Best Scuba Diving in Puerto Rico

Our Featured Scuba Diving Trips in Culebra


Culebra Diving


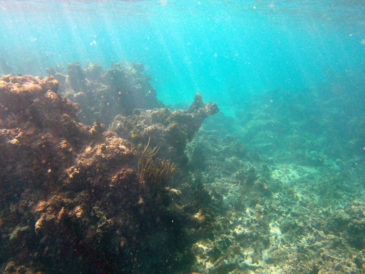
Culebra’s unique underwater scenery is known around the world as one of the most beautiful and intact reefs open to diving. There is many dive sites, including a natural tunnel, caves, deep water drop offs, a sunken tug boat and endless coral reefs. Because there is no freshwater runoff in Culebra, the visibility is among the best in the world. Most of the dive sites are shallow, between 20 and 50 feet. But there are some sites for experienced divers only. Diving in Culebra is like opening a fish guide for the Caribbean, you can discover them all, including a nearly infinite variety of invertebrates and corals.

The Wit Power


The Wit Power is a sunken tugboat resting a mere 40 feet below the surface. As far as shipwrecks go, this is certainly one of the most accessible, and because the Wit Power has been here since 1984, divers will find plenty of coral, turtles, fish and other marine life.

Further Cave Exploring


Finally, the many other cayos or keys around Culebra are worth exploring:

Luis Peña: Depth 50′
Monito: Depth 60′
Carlos Rosario: Depth 30′
Cayo Geniki: Depth 20′-140′
Cayo Ballena: Depth 30′-80′
Cayo Tiburon: Depth 30′-80′
Geniki Caves: Depth 20′-75′
Los Corchos: Depth 60′
Tugboat: Depth 35′

Just off Carlos Rosario, a beach near the world-famous Flamenco Beach, is a vibrant coral reef that is much loved by both divers and snorkelers for its fabulous display of coral and fish. The Geniqui Caves gives advanced divers the chance to explore underwater tunnels and admire a unique underwater vista by lamplight.

coral reef

Culebra & Vieques


Culebra and Vieques with their white sand beaches, coral reefs and wildlife refuge, sit about 20 miles off the north east coast of Puerto Rico. Because they are located far from the shore the visibility is crystal clear. Depth could be between 45-95 feet depends on dive site.

20130712_130419-1024×576